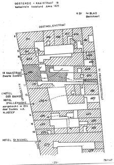
Merkwaardige gebouwen te Oostende : Kaaistraat 18 : in memoriam
Datum via externe bron
Off
Trefwoorden
Auteurs
Plaatskenmerk
Geactiveerd
Uit
Vertonen
-
Nummer
11
Pagina's
147-149
Bron
Publicatiemaand
november
Publicatiejaar
1978
Datum bij benadering
Uit
Afbeeldingen
Vertonen
-

Source URL: https://www.deplate.be/merkwaardige-gebouwen-te-oostende-kaaistraat-18-memoriam